Tegin siis pildid sellestsamast objektist.Sisse ei haknud pugema...ivalO kirjutas:Pead vist seda objekti silmas? Kunagise piiratud laagriala sisse see tõepoolest jääb, mis ehitisega on tegu, ei tea.
Vangilaagrid.
- muhumetsad
- Huviline
- Postitusi: 841
- Liitunud: P Sept 14, 2014 9:47 am
Re: Vangilaagrid.
- Manused
-
- objekt.png (562.08 KiB) Vaadatud 33048 korda
-
- 1_1_30494972.jpg (50.84 KiB) Vaadatud 33048 korda
-
- 1_1_30494980.jpg (94.02 KiB) Vaadatud 33048 korda
Pudelid ja kaardid on peamised
Re: Vangilaagrid.
Tallinna sadama sõjavangide laager.
Kas "Merebassein"? Vangide eluruumidena olid kasutusel vanad magasiaidad ja laohooned. Sõjas purustatud hooned olid selleks tarbeks katustega kaetud ja sisustatud kahekordsete puunaridega.
Laagris oli 100 kohaline laatsaret ja saun desinfektsioonikambriga. Viimase läbilaskevõime oli 50 inimest tunnis.
Samas asusid ka 286 sõjavangilaagri staap ja laod.
1948. aastal laagris 1255 väljaspool laagrit töötavat sõjavangi.
Kas "Merebassein"? Vangide eluruumidena olid kasutusel vanad magasiaidad ja laohooned. Sõjas purustatud hooned olid selleks tarbeks katustega kaetud ja sisustatud kahekordsete puunaridega.
Laagris oli 100 kohaline laatsaret ja saun desinfektsioonikambriga. Viimase läbilaskevõime oli 50 inimest tunnis.
Samas asusid ka 286 sõjavangilaagri staap ja laod.
1948. aastal laagris 1255 väljaspool laagrit töötavat sõjavangi.
Re: Vangilaagrid.
286 sõjavangilaagri 1. osakond. asus Tartu lähistel ja koosnes mitmest jaoskonnast.
1. jaoskond Anni - palkidest elumaja (ju mingi talukoht) - 25 vangi.
2. jaoskond Rasva - palkidest talumaja - 20 vangi.
3. jaoskond Kulike - savist ja palkidest elumaja, milles 14 narikohta, kiviseinte ja kivikatusega hoone, milles 35 vangi - kahekordsed puunarid.
4. jaoskond Põdra - palkhoone - 24 vangi kahekordsetel naridel, primitiivne saun-pesumaja läbilaskevõimega 10 inimest tunnis. Pesumajas jõudlus- 13 paari pesu päevas. Eks tartlased saavad nüüd naerda, aga tegin täht-tähelt vene keelest ringi!
Kirja järgi olid jaoskonnad Tartust 4-16 km kaugusel, Tartu - Ot(t)i tee ääres või suunal.
Jaoskondade nimed tulenevad arvatavalt talukohtadest, kus vange hoiti.
Tundub, et Tartumaal oli sõjavangidel priima elu!
Vana vene kaardi järgi peaks talukohad vast kätte saama?
Originaaltekst on siin
1. jaoskond Anni - palkidest elumaja (ju mingi talukoht) - 25 vangi.
2. jaoskond Rasva - palkidest talumaja - 20 vangi.
3. jaoskond Kulike - savist ja palkidest elumaja, milles 14 narikohta, kiviseinte ja kivikatusega hoone, milles 35 vangi - kahekordsed puunarid.
4. jaoskond Põdra - palkhoone - 24 vangi kahekordsetel naridel, primitiivne saun-pesumaja läbilaskevõimega 10 inimest tunnis. Pesumajas jõudlus- 13 paari pesu päevas. Eks tartlased saavad nüüd naerda, aga tegin täht-tähelt vene keelest ringi!
Kirja järgi olid jaoskonnad Tartust 4-16 km kaugusel, Tartu - Ot(t)i tee ääres või suunal.
Jaoskondade nimed tulenevad arvatavalt talukohtadest, kus vange hoiti.
Tundub, et Tartumaal oli sõjavangidel priima elu!
Vana vene kaardi järgi peaks talukohad vast kätte saama?
Originaaltekst on siin
Re: Vangilaagrid.
Ehk need?
Vana-Kuuste mõisast eraldatud talu "Anni nr 47", kinnistu nr 1481 toimik EAA.2381.2.7209
Vana-Kuuste "Anni nr 47" talust (kinnistu nr 1481) eraldatud "Külliku nr 58" talu, kinnistu nr 5203 toimik Arhivaal Ajalooarhiiv EAA.2381.2.10418 1933-1936
Vana-Kuuste mõisast eraldatud talu "Rasva nr 49", kinnistu nr 4093 toimik EAA.2381.2.9632 1908-1936
GIS kaardil on need kohanimed veel olemas:
https://www.google.ee/maps/place/Reola, ... !1e1?hl=et
...
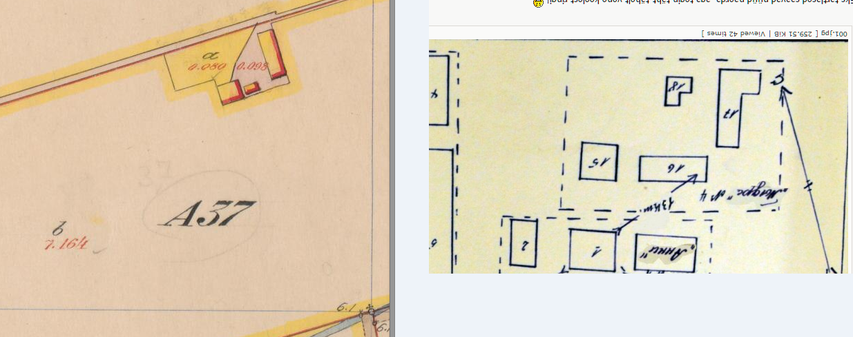
Tartumaal Vana-Kuuste vallas asuvatest maaseadusega riigistatud Reola mõisa maadest eraldatud Põdra nr. A37 talu
A37 järgi leidsin sellise..ülearu ei klapi just
Külliku talu kohta veel:
Vana-Kuuste mõisast eraldatud talu "Anni nr 47", kinnistu nr 1481 toimik EAA.2381.2.7209
Vana-Kuuste "Anni nr 47" talust (kinnistu nr 1481) eraldatud "Külliku nr 58" talu, kinnistu nr 5203 toimik Arhivaal Ajalooarhiiv EAA.2381.2.10418 1933-1936
Vana-Kuuste mõisast eraldatud talu "Rasva nr 49", kinnistu nr 4093 toimik EAA.2381.2.9632 1908-1936
GIS kaardil on need kohanimed veel olemas:
https://www.google.ee/maps/place/Reola, ... !1e1?hl=et
...
Tartumaal Vana-Kuuste vallas asuvatest maaseadusega riigistatud Reola mõisa maadest eraldatud Põdra nr. A37 talu
A37 järgi leidsin sellise..ülearu ei klapi just
Külliku talu kohta veel:
Viimati muutis skulmars, P Nov 29, 2015 11:42 pm, muudetud 5 korda kokku.
http://sakala.ee/kogume-pärandit
- desert eagle
- Huviline
- Postitusi: 608
- Liitunud: P Juul 16, 2006 2:28 pm
- Asukoht: Tallinn
Re: Vangilaagrid.
Tartus Sõbra tänaval kus praegu asub Prisma oli ka saksa sõjavangide laager.Hiljem ehitas Tarmeko sinna peale enda tootmishoone mis on tänaseks omakorda ümber ehitatud kaubanduskeskuseks.
Re: Vangilaagrid.
Talud peaksid jääma Tartu raudteejaamast 4-16 kilomeetri kaugusele.
Tartu maakonda ja Ropka valla piiridesse.
Tartu maakonda ja Ropka valla piiridesse.
Re: Vangilaagrid.
Kas siin kirjas oleval Kasarmu tänaval võiks olla mingi seos Tartuga?
Laager mahutas 4500 vangi!
Re: Vangilaagrid.
Tartuga on tõrge!
Kas pärnakad oma Lavassaare surmalaagri oskavad paika ajada?
Kas pärnakad oma Lavassaare surmalaagri oskavad paika ajada?
Re: Vangilaagrid.
Koha nimi pidavat olema Lavassaare Allasula või (Vanaasula)
Re: Vangilaagrid.
Kui Tartuga on tõrge, siis kasarmu tänav oli ka Võrus. Äkki sealt?
Re: Vangilaagrid.
Teada-tuntud koht ning nõukogude võimu perioodist on sinna isegi temaatiline mälestuskivi püsti jäänud! Laagri barakid ammuilma lammutatud aga ridamisi asetsevad kolm nn tööliste maja siiani alles ja osaliselt isegi elanikega asustatud ...ivalO kirjutas:Kas pärnakad oma Lavassaare surmalaagri oskavad paika ajada?
Re: Vangilaagrid.
OK! Lavassaarega sott selge.
Sõjavangilaager nr.332 rajati Pärnus 1945.a. juunil, selle vangid töötasid Pärnu tööstusettevõtetes, metsatööl ja Lavassaare turbatööstuses. Laager likvideeriti 1946.a. algul, Lavassaare turbatööstuse osakond anti Tallinna sõjavangilaagrile nr. 286.
Mul need plaanid aga sõjavangilaager 286 kohta.
Üks osakond oli veel Valgas, aga seal pole olnud jälle Kasarmu uulitsat vist?
Ja teisalt ei pea see venekeelne kiri Kasarmu tänav olema ka ametlik nimetus, võibolla lihtsalt territooriumi siseselt nimetatud!
Sõjavangilaager nr.332 rajati Pärnus 1945.a. juunil, selle vangid töötasid Pärnu tööstusettevõtetes, metsatööl ja Lavassaare turbatööstuses. Laager likvideeriti 1946.a. algul, Lavassaare turbatööstuse osakond anti Tallinna sõjavangilaagrile nr. 286.
Kasarmu tänav oli tõepoolest Võrus olemas.nublu kirjutas:Kui Tartuga on tõrge, siis kasarmu tänav oli ka Võrus. Äkki sealt?
Mul need plaanid aga sõjavangilaager 286 kohta.
Üks osakond oli veel Valgas, aga seal pole olnud jälle Kasarmu uulitsat vist?
Ja teisalt ei pea see venekeelne kiri Kasarmu tänav olema ka ametlik nimetus, võibolla lihtsalt territooriumi siseselt nimetatud!
Re: Vangilaagrid.
Valgas on erinevalt Võrust olemas kalmistu, kuhu erinevad timukad oma orje matsid. Samas Kasarmu uulitsa ja laagri numbriga asi ei taha haakuda:ivalO kirjutas:
Kasarmu tänav oli tõepoolest Võrus olemas.
Mul need plaanid aga sõjavangilaager 286 kohta.
Üks osakond oli veel Valgas, aga seal pole olnud jälle Kasarmu uulitsat vist?
Ja teisalt ei pea see venekeelne kiri Kasarmu tänav olema ka ametlik nimetus, võibolla lihtsalt territooriumi siseselt nimetatud!
http://www.puhkaeestis.ee/et/valga-vang ... e-kalmistu
"Maakri ja Kuke nurgal puumajas elasid kaks õde litsi, väga soojad mälestused." (tundmatu klassik, 2013)
Re: Vangilaagrid.
Millegipärast toppisin nüri järjekindlusega Juhkentali laagrit autotanki alale!
Kogu eelmise lehekülje jutt Aafrika tänavast ei vasta tõele.
Laagrina kasutati hoopis nii saksa, kui vene ajal endise 10. jalaväepataljoni territooriumi.
Ja Kasarmu tänav samuti täitsa olemas. Kolm hoonet sellelt 1944. aasta eksplikatsiooniplaanilt on tänaseni alles.
Kogu eelmise lehekülje jutt Aafrika tänavast ei vasta tõele.
Laagrina kasutati hoopis nii saksa, kui vene ajal endise 10. jalaväepataljoni territooriumi.
Ja Kasarmu tänav samuti täitsa olemas. Kolm hoonet sellelt 1944. aasta eksplikatsiooniplaanilt on tänaseni alles.
- desert eagle
- Huviline
- Postitusi: 608
- Liitunud: P Juul 16, 2006 2:28 pm
- Asukoht: Tallinn
Re: Vangilaagrid.
Kui Tartust mööda Viljandi maanteed välja sõita on selline koht nagu Ulila.Seal oli samuti sakslased sõjavangis.Vangid käisid Ulila turbarabas tööl.Vangid olid majutatud endiste rabatööliste barakkidesse.Orjatöö kätte ära surnud maeti barakkide taha põllule ja on tänaseni seal.